Development Opportunity in Old Town Steamboat

Page 1


DEVELOPMENT OPPORTUNITY

in old town steamboat

steamboat springs colorado

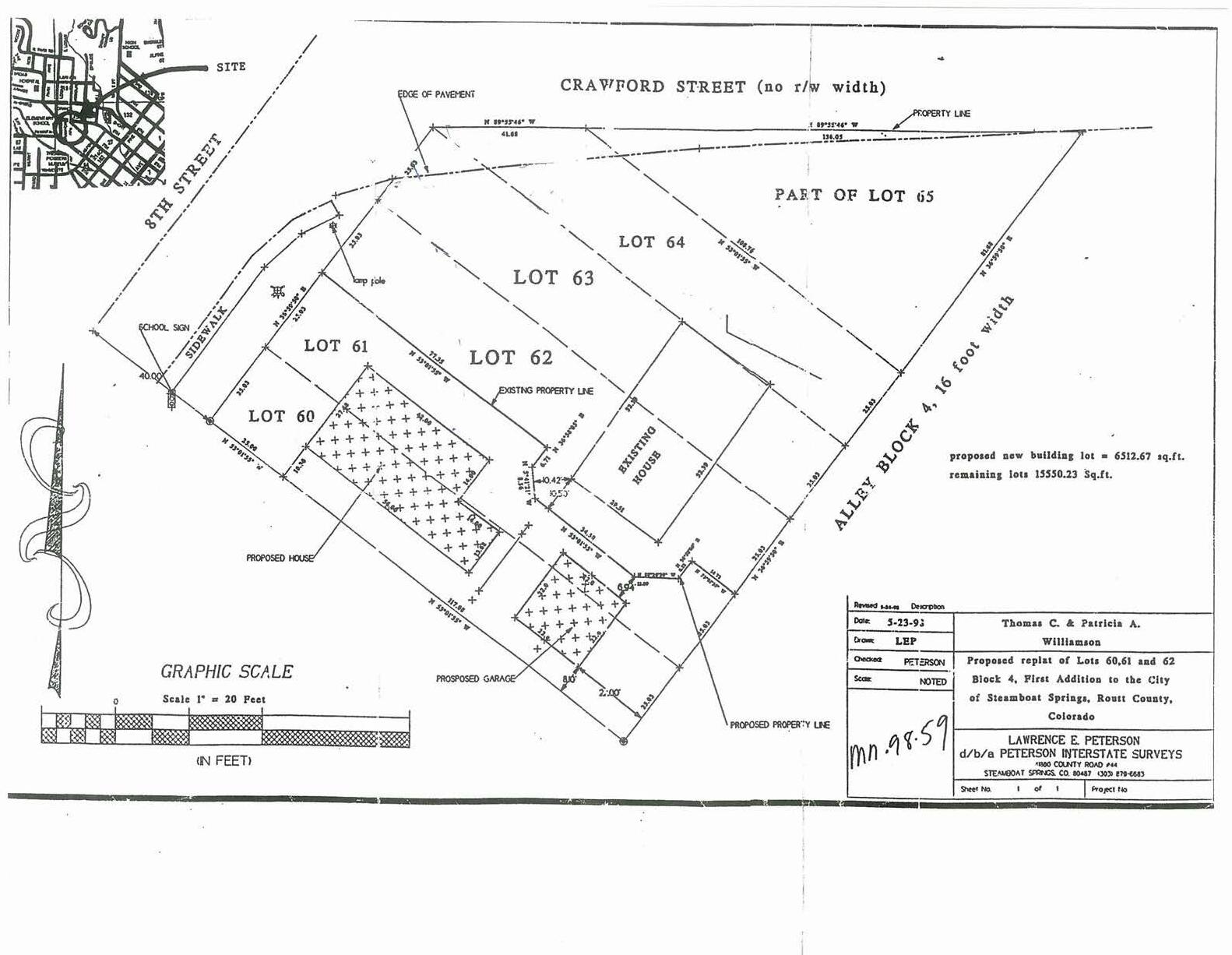
Rare chance to develop a .33-acre downtown lot, eligible for subdivision into two RO-zoned city lots. Build two homes (each with an ADU) or one larger home with an ADU. Flat terrain and alley access make for easy building and added privacy. Located across from Soda Creek Elementary and walkable to parks, schools, shops, and dining.

Existing 1,508 SF home likely needs removal—property sold as is.

ZONING ALLOWS LOT TO BE SPLIT

• Lot size .33 acres

• Zoned RO (Residential Old Town)

• Can be subdivided into 2 parcels of approximate equal size

• Each lot would allow for single family plus accessory dwelling unit up to 650 SF

• Flat Topography

• Alley Access provides convenience & privacy

• Great location near schools, easy walk to downtown, parks and trails

• Water, sewer, electric & gas to lot (buyer may benefit from tap-fee credits)

• Current home: 1,508 SF, 3 bedrooms, 1.5 bathrooms, large utility room & shed

Concept 1 Concept 2

DEVELOPMENT OPPORTUNITY

in old town steamboat

SURVEYS & PLATS

DEVELOPMENT OPPORTUNITY

in old town steamboat

CURRENT HOME

DEVELOPMENT

OPPORTUNITY

IN OLD TOWN

ZONING ALLOWS LOT TO BE SPLIT

• 3 bedrooms, 1.5 bathrooms, 1,508 SF

• Large utility room & shed

• Large 0.33 Acre Lot

• Fenced Yard

• Close to schools

• In the best neighborhood in Steamboat

DEVELOPMENT

TOWN

Turn static files into dynamic content formats.

Create a flipbook
Issuu converts static files into: digital portfolios, online yearbooks, online catalogs, digital photo albums and more. Sign up and create your flipbook.